Botryosporium sp(p).

Moisissure blanche opportuniste

  

Généralités 

  • Les Botryosporium spp. sont des champignons ubiquistes, essentiellement saprophytes signalés sur de très nombreux végétaux et dans diverses niches écologiques.
  • Pathogènes sur tabac, basilic, statice (à l'origine de lésions sur tiges notamment), sur tomate avec un comportement parasitaire comparable à celui de Botrytis cinerea, sur rameaux de piment, sur feuilles de betterave et de pélargonium. Se développe aussi en envahisseur secondaire après Botrytis cinerea.
  • Au moins deux espèces (B. pulchrum et B. longibrachiatum) semblent sévir sur ces végétaux.
  • Dommageable(s) très ponctuellement sur aubergine sous abris essentiellement, en fin de culture, et sur des plantes plus ou moins sénescentes.
  • Organes attaqués : feuilles, tiges, fleurs, rarement les fruits.
  • Symptômes :
    • Symptômes présents sur tous les organes aériens.
    • Larges taches foliaires plutôt circulaires et humidesprenant une teinte beigeâtre à brune. Celles-ci s'initient surtout en bordure du limbe, ou à partir de diverses blessures. A termes les folioles peuvent être entièrement détruites.
    • Les tissus affectés se nécrosent rapidement et entraînent un dessèchement de secteurs importants du limbe.
    • Lésions chancreuses, humides, de teinte beigeâtre à brune, se desséchant en évoluant et ceinturant les tiges sur quelques centimètres.
    • Flétrissements des rameaux.
    • Brunissement des pétales sénescents permettant l'envahissement des fleurs.
    • Colonisation de la zone pédonculaire des fruits à l'origine parfois d'un début de pourriture.
  • >>> Plus de photos 
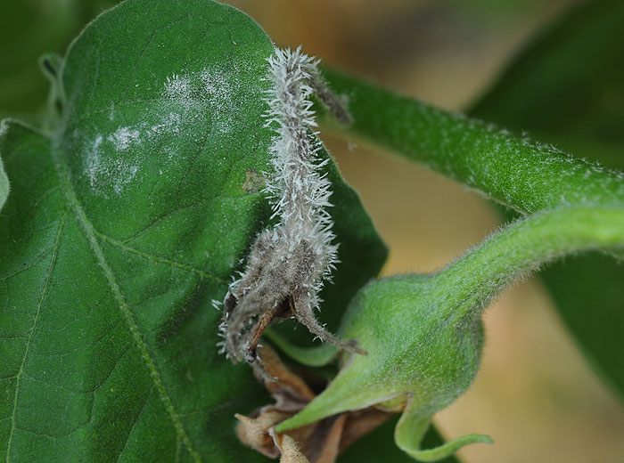
  • Signes : dense moisissure blanche constituée d'une multitude de longs conidiophores aériens, évoquant du "givre".
  • Confusions possibles : attaque de Botrytis cinerea.

Biologie 

  • Conservation : peuvent se conserver sur de nombreux supports (graines, dans le sol, sur les débris végétaux et la matière organique, tourbe, etc.). Capable de coloniser les tissus dégradés et sénescents de nombreux végétaux, les écorces, etc. Contaminations primaires souvent aériennes, assurées par des conidies transportées par le vent, elles germent en quelques heures en présence d'une humidité ambiante élevée.
  • Infection : pénètrent dans les tissus grâce au tube germinatif des conidies surtout à partir de diverses blessures ou des tissus nécrosés et/ou morts comme les pétales, les sépales nécrosés, les vieilles folioles. Ils leur arrivent de coloniser des tissus déjà altérés par d'autres agents pathogènes ou par des ravageurs. Ils se généralisent rapidement aux tissus, qu'ils contribuent à décomposer en quelques jours.
  • Sporulation : produisent une moisissure blanche sur tous leurs hôtes, comme sur les débris végétaux, celle-ci est constituée de mycélium et de nombreux et longs conidiophores ramifiés produisant de nombreuses conidies assurant la dissémination des Botryosprium spp.
  • Dissémination : le vent et les courants d'air assurent la dispersion des conidies, à un moindre degré la pluie et les éclaboussures d'eau. Elle est aussi réalisée par les ouvriers au cours des opérations culturales. Le mycélium peut être à l'origine de contaminations par contact de tissus déjà colonisés à des tissus sains. 
  • Conditions favorables à leur développement : affectionnent particulièrement les ambiances humides des serres et abris, et des températures moyennes avoisinnant 20 °C. Les plantes étiolées et/ou sénescentes sont particulièrement vulnérables. En conditions favorables, la durée d'un cycle semble assez courte, de l'ordre de quelques jours. 

Protection

  • Cette problématique sanitaire plutôt rare ne nécessite normalement pas de mesures particulières. Quelques conseils peuvent être suivis lors de la prochaine culture sous abri.
  • Désinfecter les structures et les parois des abris avant la mise en place de la culture afin de détruire les spores présentes.
  • Aérer au maximum les abris afin de diminuer l’hygrométrie ambiante et, en particulier, d’éviter la présence d’eau libre sur les plantes en fin de culture. 
  • Rappelons que les substrats organiques permettent d’obtenir des plantes plus végétatives et probablement plus sensibles à la moisissure blanche en fin de culture.
  • Eviter tout stress aux plantes, la fumure azotée devra être maîtrisée. Elle ne sera ni trop forte (à l’origine de tissus succulents très réceptifs), ni trop faible (sources de feuilles chlorotiques constituant des bases nutritives idéales pour Botryosporium sp.).
  • Ne pas tailler durant les périodes couvertes et humides.
  • Surtout éliminer très rapidement les débris végétaux en cours de culture sur lesquels Botryosporium sp. sporule abondamment.
  • Prudence en fin de culture, dès que la végétation s'affaiblit, surtout par temps couvert.
  • Maitriser les autres maladies et ravageurs car ils sont à l’origine de blessures, de nécroses tissulaires propices à l’installation de Botryosporium sp.
Dernière modification : 02/11/2021
  • Auteurs :
  • D Blancard (INRAe)
  • J Gaudin (INRAE)
Botryosporium5
Figure 1
Botryosporium17
Figure 2
Botryosporium18
Figure 3
Botryosporium11
Figure 4
Botryosporium10
Figure 5
Botryosporium16
Figure 6
Botryosporium1
Figure 7
Botryosporium19
Figure 8
Botryosporium13
Figure 9
Botryosporium4
Figure 10
Botryosporium20
Figure 11