Botryosporium  sp(p) .

Opportunistic white mold

  

General  

  • The Botryosporium spp. are ubiquitous fungi, essentially saprophytic, reported on a large number of plants and in various ecological niches.
  • Pathogens on tobacco, basil, statice (causing lesions on stems in particular), on tomatoes with a parasitic behavior comparable to that of Botrytis cinerea, on chilli twigs, on beet and pelargonium leaves. Also develops as a secondary invader after Botrytis cinerea .
  • At least two species ( B. pulchrum and B. longibrachiatum ) appear to be prevalent on these plants.
  • Very occasionally harmful to eggplant under shelter, mainly at the end of cultivation, and on more or less senescent plants.
  • Organs attacked  : leaves, stems, flowers, rarely fruits.
  • Symptoms :
    • Symptoms present on all aerial organs.
    • Large, rather circular and moist leaf spots , taking on a  beigeish to brown tint. These are initiated especially at the edge of the limbus, or from various injuries. Eventually the leaflets can be completely destroyed.
    • Affected tissues quickly necrotize and dry out important areas of the limbus.
    • Cankerous, moist lesions, beige to brown in color, drying out as they develop and girdle the stems for a few centimeters.
    • Branch wilting.
    • Browning of the senescent petals allowing the invasion of the flowers.
    • Colonization of the fruit stalk zone sometimes causing the onset of rotting.
  • >>> More pictures  
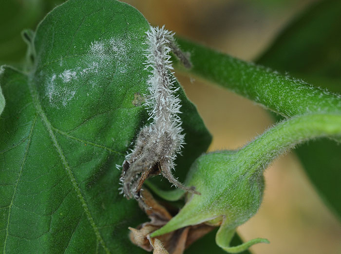
  • Signs : dense white mold made up of a multitude of long aerial conidiophores, evoking "frost".
  • Possible confusion : attack of Botrytis cinerea .

Biology  

  • Storage : can be stored on many media (seeds, in the soil, on plant debris and organic matter, peat, etc.). Capable of colonizing degraded and senescent tissues of many plants, bark, etc. Primary contaminations often aerial, provided by conidia transported by the wind, they germinate in a few hours in the presence of high ambient humidity.
  • Infection : enter the tissues through the germ tube of the conidia especially from various wounds or necrotic and / or dead tissues such as petals, necrotic sepals, old leaflets. They happen to colonize tissues already damaged by other pathogens or by pests. They quickly spread to tissues, which they help to break down in a few days.
  • Sporulation : produce a white mold on all their hosts, as on plant debris, it consists of mycelium and numerous and long branched conidiophores producing numerous conidia ensuring the dissemination of Botryosprium spp.
  • Dissemination : wind and air currents disperse conidia, to a lesser extent rain and splashing water. It is also carried out by workers during cultivation operations. The mycelium can be the source of contamination by contact of already colonized tissues with healthy tissues.
  • Conditions favorable to their development : particularly fond of humid environments in greenhouses and shelters, and average temperatures of around 20 ° C. Etiolated and / or senescent plants are particularly vulnerable. Under favorable conditions, the duration of a cycle seems quite short, of the order of a few days.  

Protection

  • This rather rare health problem does not normally require special measures. A few tips can be followed the next time you grow under cover.
  • Disinfect the structures and walls of the shelters before the establishment of the culture in order to destroy the spores present.
  • Ventilate the shelters as much as possible in order to reduce the ambient humidity and, in particular, to avoid the presence of free water on the plants at the end of cultivation.
  • Remember that organic substrates make it possible to obtain plants that are more vegetative and probably more sensitive to white mold at the end of cultivation.
  • Avoid any stress to the plants, nitrogen fertilization must be controlled. It will neither be too strong (at the origin of very receptive succulent tissues), nor too weak (sources of chlorotic leaves constituting ideal nutritive bases for Botryosporium sp.).
  • Do not prune during cloudy and humid periods.
  • Above all, very quickly eliminate plant debris during cultivation on which Botryosporium sp. sporulates profusely.
  • Take care at the end of the crop, as soon as the vegetation weakens, especially in cloudy weather.
  • Control other diseases and pests because they are the cause of wounds, tissue necrosis conducive to the installation of Botryosporium sp.
Last change : 10/12/21
Botryosporium5
Figure 1
Botryosporium17
Figure 2
Botryosporium18
Figure 3
Botryosporium11
Figure 4
Botryosporium10
Figure 5
Botryosporium16
Figure 6
Botryosporium1
Figure 7
Botryosporium19
Figure 8
Botryosporium13
Figure 9
Botryosporium4
Figure 10
Botryosporium20
Figure 11